滚动更新|台湾花莲部分灾民已返家 当地暴雨预警仍未解除
根据台当局灾害应变中心最新消息,截至24日17时,台风“桦加沙”造成台湾17人死亡、32人受伤,失联人员降至17人。
灾情发生后,总台记者深入花莲光复乡核心区,探访当地受灾情况。记者在现场了解到,当地一些灾民已重返家中进行自救和清淤工作。
目前灾区雨势已减小,但当地气象部门暂未取消暴雨预警,未来花莲县地区仍有局部暴雨的可能性。
据@广州铁路 消息,9月24日14时,今年第18号台风“桦加沙”减弱为强台风级。为保障旅客出行需求,国铁广州局在检查各种设备及线路后确保安全的情况下,25日计划分时段逐步恢复列车开行。
具体安排如下:
自9月25日零时起,京广高铁、南广高铁、贵广高铁、广深港高铁、京港高铁、甬广高铁、杭深高铁、梅汕高铁、龙龙高铁、广深城际、穗深城际以及京九铁路、京广铁路等线路列车,将逐步恢复开行;
自9月25日8时起,广珠城际、珠机城际列车逐步恢复开行;
自9月25日17时起,江湛高铁、广茂铁路列车逐步恢复开行;
自9月24日14时起,海南环岛高铁全线停运,计划9月25日11时起逐步恢复开行。
铁路部门温馨提示:
请广大旅客们关注密切关注铁路12306网站、12306APP及铁路部门公告,及时掌握列车开行信息,合理安排出行。
截至今天下午5点,台湾花莲死亡人数增至17人,32人受伤,仍有17人失联。
今年第18号台风“桦加沙”的中心已于24日17时前后在广东省阳江市海陵岛沿海登陆,登陆时中心附近最大风力有13级(40米/秒,台风级),中心最低气压955百帕。

广东省江门市气象局消息,江门台山市上川岛国家气象站(海拔高度:21.9米),今天12:55出现最大阵风65.1米/秒(17级以上),为有历史记录以来广东省的国家级气象站录得最大阵风,此前最大值为1979年台风“HOPE”期间汕尾录得的60.4米/秒。
新闻多一点
沙堤海岛站记录到67米/秒阵风
今天中午前后,“桦加沙”的中心在广东江门台山市上川岛南侧经过,附近的沙堤海岛站记录到67米/秒的可怕阵风,上川岛站也测到了65.1米/秒的可怕风速。

“桦加沙”减弱为强台风级 傍晚至夜间在广东阳江到湛江一带沿海登陆
今天14时,“桦加沙”减弱为强台风级,中心附近最大风力为15级, 50米/秒(约180公里/小时),中心位于距离广东省阳江市东偏南方向约75公里的海面上。
据中央气象台,台风“桦加沙”将于24日傍晚到夜间在广东阳江到湛江一带沿海登陆,穿过雷州半岛后进入北部湾,登陆时强度为台风级或强台风级,之后向西偏南方向移动,趋向越南北部,强度逐渐减弱。

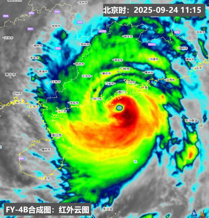
△9月24日11时15分,FY-4B静止气象卫星红外增强图显示,台风“桦加沙”位于广东南部近海,云系影响广东省大部、广西东部和海南东部。
那么,“桦加沙”的路径将怎样发展?其带来的风雨有多强?公众最需要防范哪些灾害风险?记者采访了中央气象台台风与海洋气象预报中心首席预报员王海平。
“桦加沙”已对广东沿海造成严重风雨影响 登陆在即
“桦加沙”从巴士海峡进入南海后,受到副热带高压南侧气流的引导,向西偏北方向移动。目前,已移动到广东省近海海面。后期受到北方冷空气南下的影响,“桦加沙”的强度将会被削弱,其移动路径也将受到影响,由西偏北开始逐渐转为向偏西方向移动。
中央气象台预计,24日至26日,台湾海峡、南海北部、华南等地将出现强风雨天气,要特别关注极端大风可能带来的不利影响。广东大部、广西东部和南部、海南岛西部和北部、福建东部、浙江东部、台湾岛东部、江苏中部、安徽中南部等地部分地区有大到暴雨、局地大暴雨,广东东南部沿海和西部等局地特大暴雨。

△23日06时至24日06时,广东、广西、湖南、江西、福建、贵州24小时累积降水最大值302毫米。来源:国家气象信息中心

△23日06时至24日06时,广东24小时极大风最大值52.7m/s(16级),发生在广东省珠海市香洲区庙湾主站站[G1216] 。来源:广东省气象局
华南等地需警惕强风雨致灾
“桦加沙”具有个头大、强度强、大风极端性强的特点。
南海北部、北部湾、琼州海峡等海域及广东中西部沿海强风持续时间长,公众需持续做好防台风措施,尽量避免外出;华南及云南、贵州、江苏、福建、浙江等地需防范强降雨可能引发的城市暴雨积涝、山洪、泥石流、山体滑坡等灾害。另外,“桦加沙”影响期间正值天文大潮,广东沿海有明显风暴增水,珠江口附近及香港、澳门等城市需警惕海水倒灌。

台风登陆后,随着强度减弱,台风预警信号会随之解除,但并不代表台风影响就此消失。专家表示,“桦加沙”还将为华南沿海带来降水和大风,相关地区需重点防范其后续影响。
台风“桦加沙”的影响将在9月26日左右趋于结束,但紧随其后的今年第20号台风“博罗依”已于24日5时在菲律宾以东洋面生成,中心附近最大风力8级(18米/秒),并将以每小时10至15公里的速度向西偏北方向移动,逐渐向菲律宾东部沿海靠近,预计于27日进入南海东部海域,之后向西北方向移动,强度有所增强。
受其影响,9月28日至10月1日,华南、江南西部和南部有大到暴雨,局地大暴雨或特大暴雨。气象专家提示,秋台风的影响不可小觑,公众需及时关注台风预报,合理安排生活和出行。
秋季台风频繁发生并非罕见
自今年9月以来,西北太平洋和南海已经生成6个台风。为何秋台风扎堆来袭?
秋季台风频繁发生并不罕见。中央气象台统计数据显示,从常年平均来看,9月至11月,平均每年生成10.7个秋台风,有2.3个登陆我国。其中有50%至60%以台风、强台风或者超强台风级别登陆。
王海平解释,进入秋季,海洋经过整个夏季的持续加热,海温较高,为台风的发展增强提供充足的能量来源;秋季的大气环流形势相较夏季更为稳定,垂直方向的风速或风向随高度变化也有所减弱,有利于台风的发展增强;来自西南季风和副热带高压南侧的东南气流仍然比较活跃,将大量暖湿水汽输送到台风形成的区域。另外,秋台风容易与北方南下的冷空气相遇,加剧暖湿空气抬升,也容易导致极端降水发生。
近期,来自印度洋的西南季风活跃,季风槽内对流活动旺盛,海水温度高,环流形势较为稳定,水汽输送充足,使得近期台风的生成较为密集。
超强台风“桦加沙”超17级!江门录得有历史记录以来最大极大风
广东江门台山市川岛镇沙堤海岛站(海拔高度:260m)24日12时出现最大阵风67m/s(17级以上),为江门有历史记录以来录得最大极大风(之前为“山竹”期间54.6m/s)。
广东江门台山市上川岛国家气象站(海拔高度:21.9m)11时55分出现最大阵风64.3m/s(17级以上),为有历史记录以来国家站录得最大极大风(之前为“巨爵”期间51.6m/s)。
台风“桦加沙”已致台湾14人遇难、34人受伤,另有124人失联
根据台湾卫生福利部门最新消息,截至24日上午,台风“桦加沙”造成台湾14人死亡、34人受伤、另有124人失联,伤亡人数恐持续增加。
据了解,遇难人员多是住在市区一楼的年长者,洪水来袭时可能来不及逃生。各地搜救团队正持续救援。
花莲县马太鞍溪堰塞湖23日下午溢堤,大量洪水冲断马太鞍溪桥,光复乡淹水灾情惨重。光复乡、万荣乡及凤林镇等三乡镇共12个村里、约1800户居民于22日被强制疏散撤离。屏东山区撤离145人,路段积水、边坡土石滑落等状况时有发生。
- 责任编辑:
- 李洁
- 王靓

